Save
Ask
Tour
Hide
$975,000
64 Days On Site
0 Maddox Road RoadMorrow, GA 30260
For Sale|Unimproved Land|Active
0
Beds
0
Total Baths
Subdivision:
Not in Subdivision
County:
Clayton
Listing courtesy of Joseph Chapman of Chapman Group Realty, Inc.

Save
Ask
Tour
Hide
Mortgage Calculator
Monthly Payment (Est.)
$4,448Calculator powered by Showcase IDX, a Constellation1 Company. Copyright ©2026 Information is deemed reliable but not guaranteed.
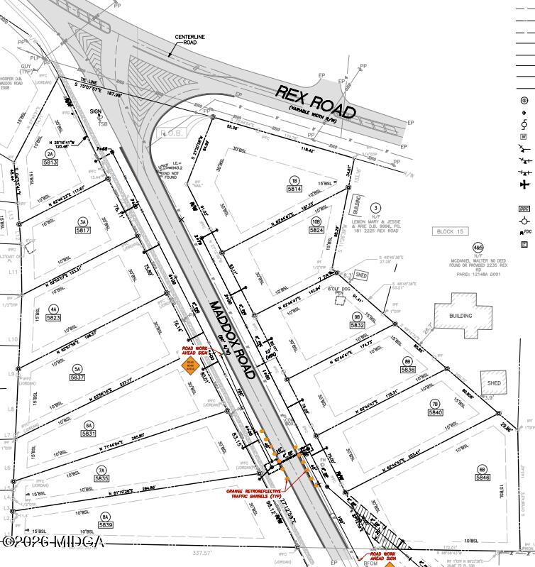
An excellent development opportunity featuring 13 residential lots on 4.387 acres. Zoned RG-75 with a 1,300 sq. ft. minimum home size. Public water and sewer are already on site, ready for builders or investors to move forward with construction.
Save
Ask
Tour
Hide
Listing Snapshot
Price
$975,000
Days On Site
64 Days
Bedrooms
N/A
Inside Area (SqFt)
N/A
Total Baths
N/A
Full Baths
N/A
Partial Baths
N/A
Lot Size
4.39 Acres
Year Built
N/A
MLS® Number
183163
Status
Active
Property Tax
N/A
HOA/Condo/Coop Fees
N/A
Sq Ft Source
N/A
Friends & Family
Recent Activity
| a week ago | Price changed to $975,000 | |
| a week ago | Listing updated with changes from the MLS® | |
| a week ago | Status changed to Active | |
| 2 months ago | Listing first seen on site |
General Features
Acres
4.39
Additional Property Use
Residential
Property Sub Type
Unimproved Land
Utilities
Cable AvailableElectricity AvailablePhone AvailableSewer AvailableWater Available
Zoning
RG-75
Save
Ask
Tour
Hide
Exterior Features
Exterior
None
Lot Features
Level
Other Structures
None
Community Features
Financing Terms Available
CashConventional
Horse Property
None
Schools
School District
Unknown
Elementary School
Satilla Marsh
Middle School
Morrow
High School
Morrow
Listing courtesy of Joseph Chapman of Chapman Group Realty, Inc.
Listings identified with the MGMLS logo come from MGMLS and are held by brokerage firms other than the owner of this website. The listing brokerage is identified in any listing details. Information is deemed reliable but is not guaranteed. If you believe any MGMLS Listing contains material that infringes your copyrighted work please click here to review our DMCA policy and learn how to submit a takedown request. © 2026 Bibb Multi List, Inc. d/b/a Mid Georgia MLS
Last checked: 2026-04-22 01:51 PM UTC
Listings identified with the MGMLS logo come from MGMLS and are held by brokerage firms other than the owner of this website. The listing brokerage is identified in any listing details. Information is deemed reliable but is not guaranteed. If you believe any MGMLS Listing contains material that infringes your copyrighted work please click here to review our DMCA policy and learn how to submit a takedown request. © 2026 Bibb Multi List, Inc. d/b/a Mid Georgia MLS
Last checked: 2026-04-22 01:51 PM UTC
Neighborhood & Commute
Source: Walkscore
Save
Ask
Tour
Hide

Did you know? You can invite friends and family to your search. They can join your search, rate and discuss listings with you.